Aglia tau, the ‘Tau-Emperor Moth’ is a medium to small sized species of emperor moth (Saturniidae) found nearly all over Central Europe (except for southern Spain and Portugal, the United Kingdom, and northern Scandinavia) into Russia, reaching all the way towards the far east into parts of eastern Russia and northern China. It is a rather iconic species, especially in northern Europe, where it can be one of the only species of indigenous emperor moth species (often in conjunction with Saturnia pavonia).

It is a woodland species, that is either encountered in mature forests – in particular it is fond of old beech forests; which makes sense if we consider that Fagus sp. (Fagaceae) or beech is one of their major host plants. But it is also encountered in riparian forests where they may rely more on other plants such as Birch (Betula). Males of this species are diurnal, and can be seen frantically zigzagging through forests during daytime; perhaps their unpredictable flight pattern makes them difficult to catch for predators such as birds.

This species seems to be universally single-brooded; the pupae always hibernate, producing a single generation in spring. While the moths depicted on this page are orange, there are also (more rare) dark and even black color forms (in nature these naturally tend to be more common on higher altitudes). Compared to the male, the female is more pale; she’s a rather creamy orange while the male is more bright orange. In nature, one of their primary host plants is beech tree (Fagus) but they can use many types of woodland trees and shrubs, including willow (Salix), oak (Quercus), alder (Alnus), birch (Betula), maple (Acer), elm (Ulmus), cherry (Prunus), and more. It tends to be common in forests that have a lot of beech (Fagus) or to a lesser extent birch (Betula).
The flight time tends to vary based on latitude, altitude and local weather but globally it generally it falls between March and June. The larvae are solitary and have horn- like appendages that they seem to lose in the final instar. Males are active during the day, but females seem more nocturnal. This species is not very difficult to raise in captivity. They prefer fresh food, and slightly humid (but not wet) conditions.
- Difficulty rating: Moderate – Not a super difficult species to breed; but the caterpillars are sensitive to the right amount of humidity. Too wet, or too dry, and they don’t seem to thrive. A slightly humid but ventilated enclosure is key, so that excess moisture can evaporate from the container. Don’t overcrowd them. Rearing larvae is the only challenging part; pupal care and pairing the adults is incredibly easy.
- Rearing difficulty: 6/10 (From egg to pupa)
- Pairing difficulty: 3/10 (Achieving copulations)
- Host plants: Most importantly beech (Fagus) but also willow (Salix), oak (Quercus), alder (Alnus), birch (Betula), maple (Acer), elm (Ulmus), cherry (Prunus), birch (Betula). Major host plants in the wild tend to be Fagus or Betula. In captivity, Fagus, Salix, Betula and Quercus bring the best results in my opinion.
- Natural range: Found nearly all over Central Europe (except for southern Spain and Portugal, the United Kingdom, and northern Scandinavia) into Russia, reaching all the way towards the far east into parts of eastern Russia and northern China. Very widespread! In Scandinavia it is resticted to the South; in Ukraine to the North (except for a population in Crimea), in Spain it is restricted to the North; in Mongolia and Kazachstan it is restricted to the north; it’s so found in Korea, and possibly in northern Iran. Widespread but not often casually observed due to their seasonal nature in woodlands, but generally easy to find if one is looking for them.
- Polyphagous: yes, very!
- Generations: Just one brood per year. Univoltine. Pupae hibernate.
- Family: Saturniidae (silkmoths)
- Pupation: Pupates in leaf litter in very minimalistic ‘cocoons’ (strings of silk help form a cavity in leaf litter).
- Prefered climate: Temperate
- Wingspan: 58mm-85mm; females bigger
- Binomial name: Aglia tau (Linnaeus, 1758)
- Special notes: Keep in mind the male is day-active; this species needs light(!) and some warmth.
The eggs of this species are light brown, shiny, and oval. In captivity, it is rather easy to incubate the eggs in plastic containers and petri dishes; expect small larvae to hatch in about 10 to 15 days depending on the temperature.

Scoop them up with a soft paintbrush!

The first life stages can be reared in plastic boxes. The food plants they can be reared on are various. Personally I’ve had the best results with willow (Salix) and oak tree (Quercus). On of their favorite food plants in the wild is beech (Fagus). I rear them on food plant kept in a tiny water bottle to keep it fresh and hydrated, in plastic containers with small air holes.
The first life stages of Aglia tau are certainly unusual; they have little antlers! Fun fact: the genus Aglia is unique among the Saturniidae. They are in their own little subfamily (Agliinae) and are thus worth rearing and studying for any Saturniid enthusiast. They share a common ancestor with Hemileucinae(!) and are truly the ‘Automeris’ of the old world in a certain way.


Unlike their relatives however, their spines are harmless. The early life stages are rather amazing with their antler like spines!
Once the larvae become older, transfer to larger containers with generous ventilation. This species can be raised in plastic boxes quite easily; in fact they seem to prefer it somehow. My guess is that this species likes humidity on the higher end. I prefer to rear them the old fashioned way; on branches of cut food plant standing in fresh water bottles. I’ve had the best results using Quercus (oak), and Salix (willow).
The first instars (L1-L3) can be reared in entirely airtight containers; just make sure to add a general layer of paper towels to absorb excess moisture – do avoid condensation if you can – and keep the leaves fresh. Humidity should be moderate to high but not extreme, avoid wet conditions.


The older instars (L3-L4) also appear to like high humidity, but not as high as the ‘babies’ (L1-L3). I tend to rear them in very large plastic containers, with the lid replaced with towels(!) or with large holes drilled in them.



The first and second instars have large red and white ‘antlers’. The third instar has more creamy brown/yellowish spines that point forwards and backwards.
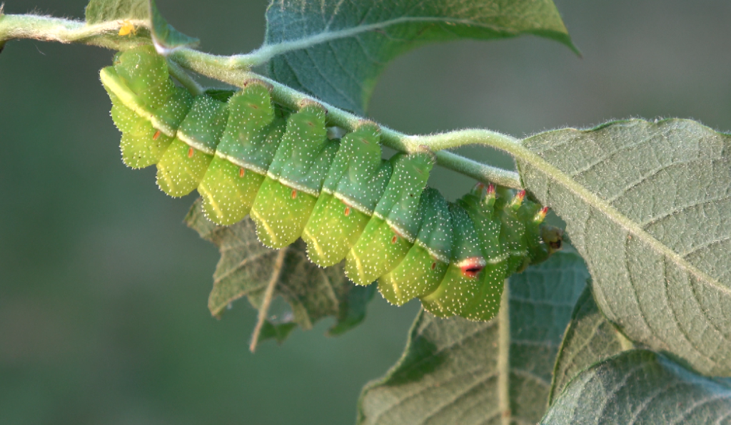
The final, and fourth instar is naked! The final life stages loses these iconic appendages. Fully grown larvae appear to have countershading; the bottom half is darker green while the top half is more bright, lime green. The larvae also have white speckles, and orange spiracles. The spiracle behind the last thorarical segment has a bright red-orange spot that surrounds it. A creamy white band runs along the body. Fully grown larvae tend to be near 4.5cm to 6cm in size (male larvae smaller).
This species appears to have four (4) instars in total as opposed to five (5). Mature larvae will be L4. This is uncommon, but not unusual in Saturniidae.



This species is not very hard to rear; the main challenge is finding the right humidity. In terms of temperatures and diet (food plant) the larvae are not very picky. They can tolerate warmer and cooler temperatures, it seems and accept a variety of hosts. However, they dislike very dry and extremely humid conditions. Moderate to higher humidity is recommended, combined with some ventilation or airflow. Avoid extremes.
If kept clean, they can be reared in higher density; although the larvae are solitary, so perhaps it is wise not to push the limit.
Once fully grown, the larvae will descend to the ground and wander aimlessly. Larvae do show subtle ‘prepupal camouflage’: fully grown larvae tend to have a brown stripe on their backs.
They tend to spin very minimalistic, primitive cocoons. In the wild, larvae form a cavity in the leaf litter or soil, and string debris together with silk. This tends to be normal for species that burrow; the deeper some Saturniidae species pupate underground, the less silk they tend to use. Aglia tau tends to make a compromise; it does spin a cocoon but uses silk quite sparingly, more in the form of an adhesive to stick leaves and debris together and create a cavity to pupate in. In captivity they will appreciate having a layer of shredded paper towels or even dried leaves to pupate in.
Aglia tau has just one brood a year. This means that in captivity, the pupae MUST be stored cold for several months in order to break dormancy (obligate hibernation). Personally, I hibernate them outdoors in a ‘hibernation box’ which means burying the pupae in substrate such as vermiculite, or paper towels. They are very cold hardy but to need to be protected from direct frost (after all, in nature they are buried). Store the pupae cold from October/November to April/March; then warm them up to room temperature. And you can expect moths in 3-5 weeks!



Notes on mating: It seems that mating this species is very easy. Perhaps it is the easiest part of breeding Aglia tau; the imagoes are generally VERY willing to hook up.




Important to keep in mind is that this is a diurnal(!) species that needs daylight. It flies early in spring in Europe and is somewhat cold adapted. ‘Somewhat’ because it is definitely not an extremophile, but the species can definitely handle chilly days early in spring. That being said, they do appear to be more active during sunny, warmer days. Males seem to be quite active early in the mornings (from about 10:00) , but also in the afternoon (near 16:00) on sunnier days.
In captivity, males and females seem to hook up nearly instantly. If the livestock is healthy, vital (and not inbred!) a breeder should have little issues getting the moths to pair up. In some cases, I’ve observed males and females mating nearly instantly after eclosing from their pupae. The main ‘mistake’ a breeder could make is getting the ambient lighting wrong. Since not all, but most Saturniidae species tend to mate in darkness, an inattentive breeder may be tempted to leave them in a poorly illuminated room. This has the opposite effect on Aglia tau: the activity level of this species is motivated by light. In darker conditions, they may be inactive.

Matings do not last very long; after what seems anything between 15 to 60 minutes, the male tends to move on from the female. The species is easy to mate in a standard pop-up cage.
Females will then lay many eggs! Life cycle completed. Lucky breeders may be able to obtain the rare and valuable black forms of this species. I’m also interested – contact me! I’d love to rear the dark form and add the pictures of them to this page.
- Not done browsing yet? Then click here to return to the homepage (HOMEPAGE)
- Looking for a specific species? Then click here to see the full species list (FULL SPECIES LIST)
- Looking for general (breeding)guides and information? Then click here to see the general information (GENERAL INFORMATION)
- Interested in a certain family? Then click here to see all featured Lepidoptera families (FAMILIES)
Citations: Coppens, B. (2024); Written by Bart Coppens; based on a real life breeding experience [for citations in literature and publications]
Was this information helpful to you? Then please consider contributing here (more information) to keep this information free and support the future of this website. This website is completely free to use, and crowdfunded. Contributions can be made via paypal, patreon, and several other ways.
All the funds I raise online will be invested in the website; in the form of new caresheets, but also rewriting and updating the old caresheets (some are scheduled to be rewritten), my educational websites, Youtube, breeding projects, the study of moths andconservation programs.
Donate button (Liberapay; credit card and VISA accepted)
Donate button (PayPal)![]()
Become a member of my Patreon (Patreon)![]()
Find me on YouTube
Find me on Instagram![]()
Join the Discord server: Click here
Join the Whatsapp server: Click here
Facebook: Click here